• Информируем вас, что с 1 января 2024 года оценки и расписание доступны в новой версии Электронного образования по адресу ms-edu.tatar.ru. В данной версии электронного дневника вы можете продолжать смотреть ранее полученные оценки.
    С более подробной информацией можно ознакомиться на сайте: info.edu.tatar.ru.

Электронное образование Республики Татарстан

МБДОУ «Детский сад общеразвивающего вида №2 «Батыр» Бугульминского муниципального района РТ»

Решаем вместе
Есть предложения по организации учебного процесса или знаете, как сделать школу лучше?

Визитная карточка

Адрес: 423230, Республика Татарстан, Бугульмнский район, г. Бугульма, ул. Калинина, д. 30А
Телефон: +7(855)-944-06-78
E-Mail: DO2.Bug@tatar.ru
Министерство: Министерство образования и науки Республики Татарстан
Короткое название: Детский сад № 2
Руководитель: Галяутдинова Альфира Асхатовна
Год основания учреждения: 1976
У нас учатся: 102 воспитанников
У нас учат: 14 педагогов

Безопасность Дорожного Движения/Юл хәрәкәте иминлеге

Месячник безопасности 2022-2023 уч_год (1).pdf

Отчет Внимание, дети!.docx

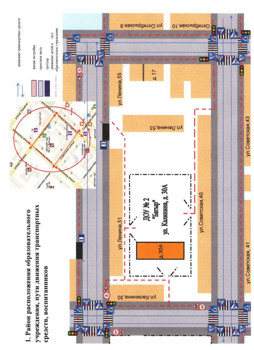
План схема ДОУ № 2 .jpg

Анализ аварийности за 7 мес 2022 года

Инфографика https://cloud.mail.ru/public/CCsy/7MzvZzs13

 

Паспорт дорожной безопасности ДОУ № 2 от 17.08.2018г.

 

Распорядительные документы:

Статистика

Информационные интернет-ресурсы по БДД:

  • Сайт www.gibdd.ru – детская безопасность

  • Сайт www.sakla.ru(сакла) - (портал безопасности дорожного движения)

  • Сайт газеты «Добрая дорога детства» - www.dddgazeta.ru

  • Сайт www.bezdtp.ru (бездтп.ру)   - «За безопасность на дорогах России» - информационные материалы, видеоролики, проекты, инфографика

  • Сайт  www.yuid.ru(юид.ру) – Юные инспекторы движения России – материалы по движению ЮИД, конкурсы.

  • Сайт www.detibdd.ru – федеральный общественный проект «Школа юного пешехода».

  • Сайт www.passportbdd.ru– Генератор паспорта дорожной безопасности- удобный инструмент для сотрудников образовательных учреждений. (Паспорт. Документы. Конструктор маршрутов)